Te verkavelen bouwgrond geschikt voor 3 gesloten bebouwingen

prijs op aanvraag

Ref. 6804162

Steenweg op Oosthoven 250, 2300 Turnhout
  • 1.046 m² Grondoppervlakte
Deze grond is centraal gelegen in het centrum van Turnhout. Momenteel is er nog een bestaande handelswoning met achterliggend magazijn aanwezig.

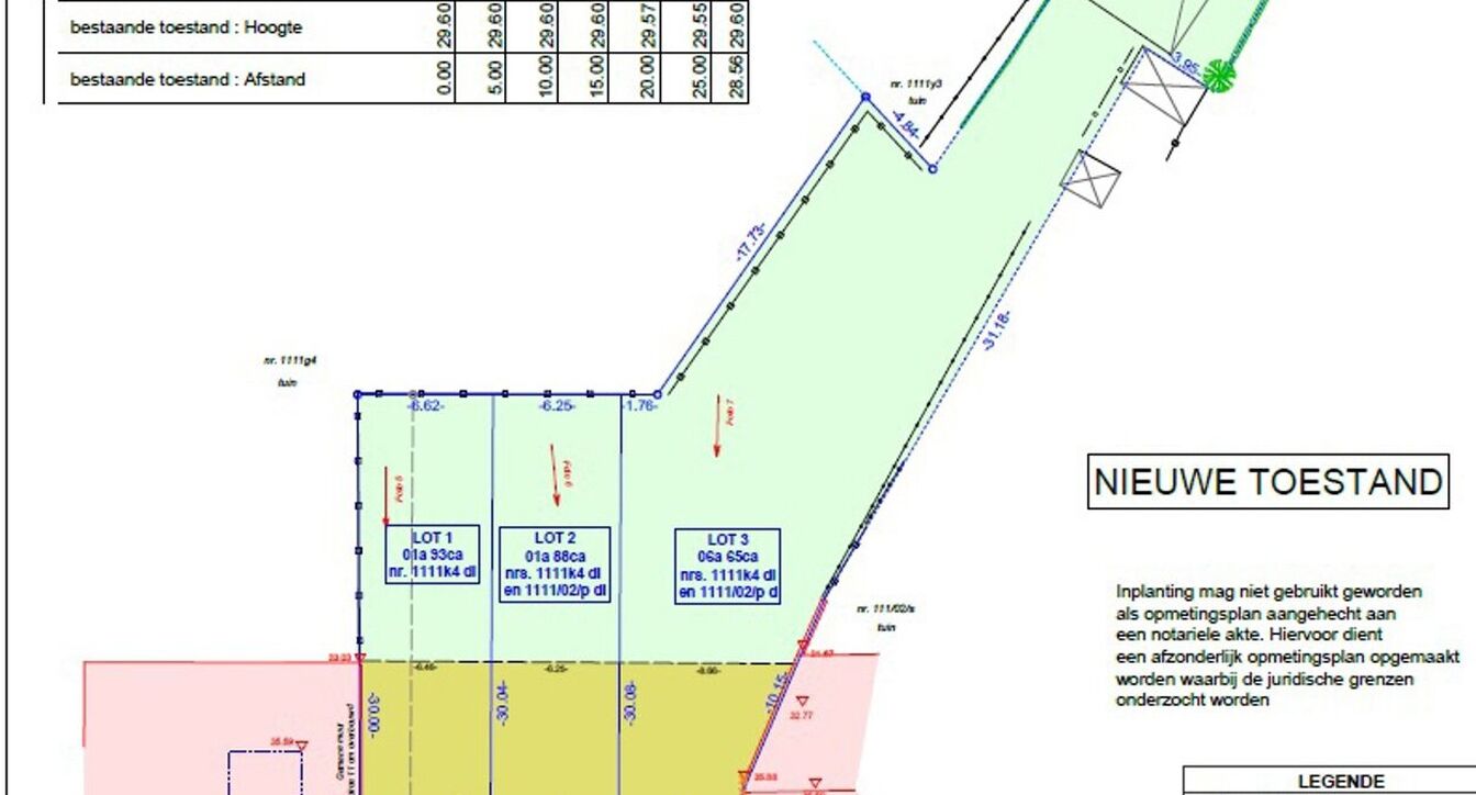
De grond is mogelijk op te delen in 3 loten van 193m², 188m² en 665m² (met achterliggend magazijn). Stedenbouwkundig attest aanwezig.
  • Delen

Details

Financieel

Beschikbaarheid
Vanaf akte

Ligging

Ligging
Centraal

Oppervlaktes en afmetingen

Perceel opp.
1.046,00 m²

Stedenbouw & ruimtelijke ordening

Overstromingsgevoeliggebied
Niet gelegen in een overstromingsgevoelig gebied
G-score
A
P-score
A

Interesse in deze eigendom?
Contacteer ons!

Grond ref. 6804162

van Schaik
Bas van Schaik
BIV 512 516
Gelieve uw voornaam in te vullen
Gelieve uw naam in te vullen
Gelieve uw e-mail in te vullen
Gelieve uw telefoon in te vullen
Gelieve uw uw bericht in te vullen
Gelieve akkoord te gaan met onze algemene voorwaarden
Niet gevonden wat u zocht?
Schrijf u in en mis geen enkele eigendom meer dat binnen uw zoekcriteria past
Meer aanbod van het type Grond Meer aanbod van het type Bouwgrond (projecten) Meer aanbod van het type Bouwgrond (projecten) In Turnhout Te koop In Turnhout
Vraag een schatting aanGratis schatting